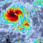
Super Typhoon Fung-wong, one of the most powerful storms this year, battered Aurora province in the eastern Philippines on Sunday night. The Category 5 typhoon made landfall in Dinalungan municipality at 9:10 p.m. local time (1310 GMT), according to the Philippine Atmospheric, Geophysical and Astronomical Services Administration.
With sustained winds exceeding 252 km/h (157 mph), Fung-wong poses significant risks to Luzon Island's agricultural heartland and coastal communities. Emergency teams have been deployed to conduct preemptive evacuations in flood-prone areas, while Manila's Ninoy Aquino International Airport suspended flights ahead of anticipated storm impacts.
Meteorologists warn of catastrophic wind damage and storm surges up to 7 meters (23 feet) in Aurora and neighboring provinces. The typhoon's trajectory suggests it will cross Central Luzon before weakening over the South China Sea, potentially affecting Vietnam's coastline midweek.
This storm arrives during peak rice harvest season, raising concerns about food security and export delays. The Philippines Department of Agriculture estimates 450,000 farmers could be affected across six regions.
Reference(s):
cgtn.com








