Kenya Flood Death Toll Rises to 28 in Nairobi
Death toll from Nairobi floods reaches 28 as rescue operations continue following heavy rainfall. Authorities warn of further climate-related risks in East Africa.
News & Insights Across Asia
Death toll from Nairobi floods reaches 28 as rescue operations continue following heavy rainfall. Authorities warn of further climate-related risks in East Africa.
At least 19 killed as wildfires fueled by high winds devastate southern Chile, with authorities struggling to contain ongoing blazes.
South Africa declares national disaster as floods kill over 200 across Southern Africa, displacing thousands and prompting regional rescue efforts.
Chilean President Gabriel Boric confirms 18 deaths from wildfires in southern regions, with over 24,000 hectares burned. State of emergency declared as curfews expand.
South Africa’s Western Cape battles severe wildfires in January 2026, displacing thousands and destroying over 120 structures as emergency teams work to contain multiple blazes.
Over 1,200 lives lost in Asia’s 2025 flood disasters, triggering regional climate action and economic concerns. Latest updates on relief efforts.
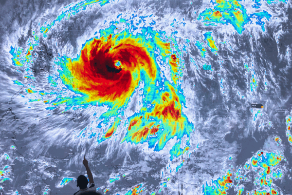
Catastrophic cyclones and record monsoon rains devastate Asia in 2025, with UN agencies warning of climate-driven “tsunami-like” impacts across multiple nations.
Over 18,000 evacuated in Malaysia as severe monsoon flooding hits 10 states. Government deploys 100,000 personnel for relief efforts amid ongoing meteorological warnings.
Philippines suspends search for Typhoon Kalmaegi victims as Super Typhoon Fung-wong approaches, prompting evacuations and raising flood risks.
Typhoon Kalmaegi leaves 188 dead in the Philippines, causes destruction in central Vietnam. Agricultural losses exceed $169k, nationwide state of calamity declared.
Over 340 killed in NW Pakistan floods as monsoon rains trigger widespread destruction, with rescue operations ongoing across 11 districts.
Southern Europe faces intense wildfires fueled by heatwaves and drought, with emergency crews on high alert as climate risks escalate.
Europe faces extreme heatwaves and wildfires, with experts warning of a climate-driven ‘new era of drought.’ Urgent global cooperation is needed to address the crisis.
South Korea faces its deadliest wildfire on record, with 30 fatalities, thousands displaced, and emergency crews battling blazes in Gyeongsangbuk-do since March 21.
A South Korean helicopter pilot died battling massive wildfires that have killed 18 people and displaced thousands, as authorities escalate crisis response efforts.